
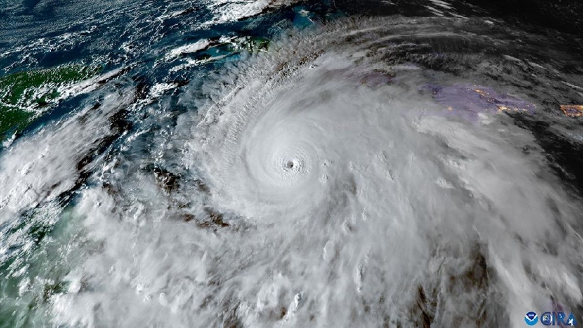
Karayipler bölgesinde Melissa Kasırgası etkili oldu...
Melissa Kasırgası'nın yol açtığı yıkım sonrası ABD Dışişleri Bakanlığından açıklama yapıldı.
KASIRGADAN ETKİLENEN ÜLKELERE FON SAĞLANACAK
Açıklamada; barınma, su, hijyen, gıda ve acil sağlık hizmetlerinde kullanılmak üzere, Melissa Kasırgası'ndan etkilenen ülkelere fon sağlanacağı belirtildi.
Jamaika, Haiti, Bahamalar ve Küba'ya ilk etapta 24 milyon dolar acil durum ve hayat kurtarma yardımı gönderileceği ifade edilen açıklamada, Jamaika'daki Afet Yardım Müdahale ekibinin, bölgedeki durumu değerlendirmeyi ve ihtiyaçları belirlemeyi sürdürdüğü bilgisi verildi.

BÖLGEDE SON DURUM
Şiddetli yağış, fırtına ve sellere yol açan kasırga nedeniyle Küba Devlet Başkanı Miguel Diaz Canel, ülkede 735 binden fazla kişinin tahliye edildiğini bildirmişti.
Küba'daki can kaybı konusunda bilgi verilmezken Karayipler bölgesinde, kasırga sebebiyle 49 kişinin yaşamını yitirdiği açıklanmıştı.

